Încărcarea paginii....
Încărcarea paginii....

Laan van de Highlanders 2 Vândut

Locație: 7207 RH Zutphen

Preț: 815.000 €

Descriere

Duurzaam en vrijstaand wonen op de mooiste plek van de straat, met een zonnige tuin en uitzicht richting het water. Gasloos, maar liefst 60 zonnepanelen, elektrische paneelverwarming, een laadpaal en een Daikin warmtepompboiler voor warm water maken van dit huis een duurzaam droomhuis. Er zijn vier slaapkamers op de eerste verdieping en de tweede verdieping biedt ruimte om nog twee kamers te realiseren. Parkeren kan ruimschoots op eigen terrein, zowel buiten als in de garage. Het winkelcentrum met een supermarkt, winkels en sportschool vind je aan de andere kant van het water. Op fietsafstand zijn een basisschool en sportvoorzieningen, er is een skatebaan en er zijn meerdere speeltuintjes in de wijk. Binnen een paar minuten rij je op de N314 richting het centrum en omliggende dorpen. Loop een klein stukje en je bent in een uitgestrekt natuur- en wandelgebied richting Wichmond en Landgoed Hackfort. Indeling: Begane grond: De architectuur van deze villa, genspireerd op de geliefde jaren 30 stijl, trekt direct de aandacht. Om de binnenzijde te bewonderen loop je naar de carport, waar de fraaie entree is. Achter de voordeur bevindt zich de hal, met een zwarte trapopgang en een eikenhouten vloer. Deze vloer ligt niet alleen in de hal, maar ook in de woonkamer en keuken. Aan de linkerzijde, naast de meterkast, is de toiletruimte met fonteintje. Wat een sfeer heeft de speels ingedeelde woonkamer, die een geheel vormt met de keuken. Aan de voorzijde is het zitgedeelte, met uitzicht op de voortuin en de rustige straat. Het eetgedeelte is vlak naast de prachtige keuken, die ruimte biedt aan een groot kookeiland en een hoge kastenwand. In deze villa is de keuken het kloppend hart, waar een kookliefhebber op slag verliefd op wordt... Door de ramen bij de erker (west) en de openslaande tuindeuren naar de achtertuin (zuid) valt veel licht naar binnen. Het kookeiland heeft een hoge tweepersoonstafel, brede lades en een stijlvol aanrechtblad. Alle benodigde apparatuur, deels in de kastenwand, is ingebouwd: een Miele inductie kookplaat met afzuiging, een Quooker, vaatwasser, koel-vriescombinatie, oven en een stoomoven. Naast de keuken is een bijkeukenwasruimte, die toegang biedt tot de tuin en de garage. In de garage kun je de (kinder)fietsen, een scooter, motor enof andere spullen neerzetten. Liever de auto? De garage is er groot genoeg voor! Eerste verdieping: De overloop is een fraaie ruimte, met het zwarte trappenhuis en laminaat op de vloer. Deze ligt ook in de aansluitende slaapkamers, vier in totaal. Aan de achterzijde is de master bedroom, uitgevoerd in goud en nachtblauw. Er zijn twee ruime kamers aan de voorzijde en de vierde slaapkamer wordt als sportruimte gebruikt. Voor, tijdens en na het sporten heb je mooi uitzicht richting het water en groen. In de royale badkamer zijn marmerlook tegels en modern sanitair op een fraaie wijze gecombineerd. Het vrijstaande bad staat bij het raam en verder zijn er een inloopdouche, een toilet en een stijlvol wastafelmeubel met ronde spiegel. Tweede verdieping: Een vaste trap geeft toegang tot de zeer ruime tweede verdieping, met een bijna 3.50 meter hoge nok en een raam in de voor- en achtergevel. Er ligt, net als op de eerste verdieping, laminaat op de vloer en de wanden zijn afgewerkt met behang. Dankzij de gunstige positie van de trap kunnen hier eenvoudig twee ruime slaapkamers en een wasruimte worden gerealiseerd. Tuin: De villa wordt aan drie kanten omringd door een mooi aangelegde tuin waardoor je de hele dag zon hebt, merendeels op het zuiden (achterzijde) en westen (rechterzijde). Er zijn twee terrassen om volop in de zon te zitten en de gevarieerde beplanting zorgt voor een aangename sfeer. Aan de linkerzijde, naast de garage, is een brede achterom en aan de andere zijde is een stijlvolle vijver gemaakt. De oprit aan de voorzijde biedt plaats voor 2 auto's. Bijzonderheden: - Dak-, gevel- en vloerisolatie; - Houten kozijnen met HR+++ glas; - Elektrische paneelverwarming (met wifi-functie) in de woonkamer, keuken en slaapkamers; - Elektrische vloerverwarming (Danfoss) in de badkamer; - Warm water via een warmtepompboiler (Daikin) en een Quooker; - 60 AEG glas-glas zonnepanelen van 300 Wp, geplaatst in 2019; - Balansventilatie aanwezig en voorbereiding voor een centraal stofzuigsysteem; - Oprit met carport en laadpaal; - Mogelijkheid tot het creren van 6 slaapkamers, door 2 extra slaapkamers te realiseren op de tweede verdieping; - Energielabel A+++

Vezi descrierea în poloneză

Informații generale
Preț 815.000 €
Stare vândut
acceptare In overleg
Proprietate
Natură Villa, vrijstaande woning
Construcție Bestaande bouw
Anul construcției 2019
Acoperiș Zadeldak bedekt met pannen
Clădire specifică Gedeeltelijk gestoffeerd
Suprafețe și conținutul
Suprafață 166 m2
Alte locuri din interior 16 m2
suprafaţa exterioară a clădirii 13 m2
Suprafața terenului 475 m2
întreaga suprafață 704 m2
Diviziune
Numărul de camere 5 kamers (4 slaapkamers)
Numărul de băi 1 badkamer en 1 apart toilet
Echipament pentru baie Douche, ligbad, toilet, en wastafelmeubel
Numărul de etaje 3 woonlagen
echipament Balansventilatie, domotica, glasvezelkabel, en zonnepanelen
Energia
Tipul A+++
Izolație Volledig gesoleerd
încălzire Elektrische verwarming en gedeeltelijke vloerverwarming
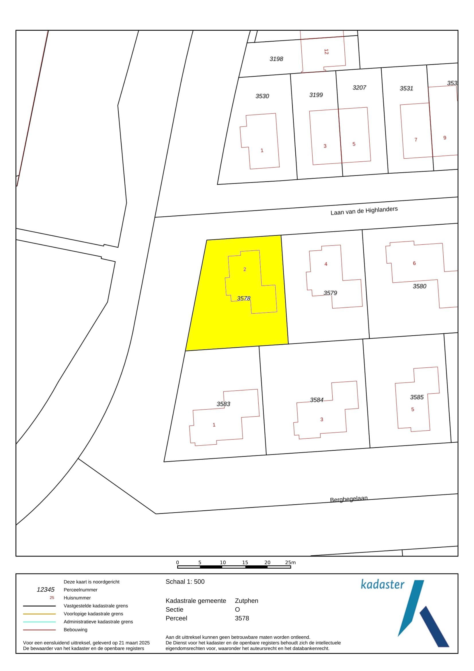
Date cadastrale
Suprafață 475
Structura de proprietate Volle eigendom
Spațiu exterior
Locație In woonwijk
Grădină Tuin rondom
Plasare suplimentară
Garaj
echipament Elektra
Tipul Aangebouwde stenen garage
Capacitatea garajului 1 auto
Contactati-ne
Esti interesat de imobiliare?
scrie-ne

Calculatorul bonității

Vă rugăm să introduceți câteva detalii pentru a verifica gratuit suma maximă de ipotecă pe care o puteți obține.

CALCULA CREDIT IPOTECAR